お問い合わせ

0/ 0
必須項目完了

確認画面へ
お進み下さい

  • 入力
  • 確認
  • 送信

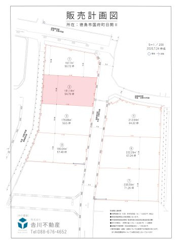
国府町日開分譲地4期③号地の画像

価格 土地面積 坪数 販売区画 総区画
-円 176.87㎡ 53.50坪 - 7区画
必須

お名前

必須

メールアドレス

任意

電話番号

任意

ご相談内容

利用規約 及びプライバシーポリシー を必ずお読みください。左記内容に同意頂いた場合は、確認画面へお進み下さい。

未入力項目があります