国府町日開分譲地4期②号地

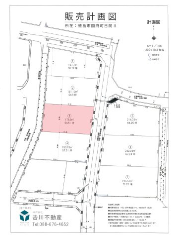
【区画図】の画像

【区画図】 -

【】の画像

【】 -

【区画図】の画像 区画図
【】の画像

売地

価格
821.85万円
所在地
徳島県徳島市国府町日開 MAP
交通
徳島線「府中」駅徒歩19分
土地面積(坪数)
実測 : 181.14㎡ (54.79坪)
建ぺい率
70%
容積率
200%

まずはご相談ください!

088-676-4652

営業時間
-
定休日
不定休

担当者スタッフより

おすすめポイント

【おかげさまで最後の1区画】 国府町日開全7区画分譲地が好評につき最後の1区画となりました。 南井上小学校徒歩7分の立地。 県道徳島鴨島線(30号)まで130mなのに、静かな住宅地です。

まずはご相談ください!

営業時間
-
定休日
不定休

物件概要

物件番号:87353216 /  情報更新日:2026年05月11日 /  更新予定日:2026年05月25日 /  取引条件の有効期限:2026年05月25日 情報の見方
価格(坪単価) 821.85万円 (15万円) 所在地 徳島県徳島市国府町日開 MAP
交通
    徳島線「府中」駅徒歩19分
土地面積(坪数) 実測 : 181.14㎡(54.79坪)
私道負担面積 /
セットバック
- / 無 現況 -
土地権利 所有権 建築条件 -
地目 / 地勢 雑種地 / 平坦 接道状況 一方(東 公道 5.0m 間口 10.0m)
建ぺい率 / 容積率 70% / 200% 最適用途 住宅用地
用途地域 無指定 都市計画 市街化調整区域
土地の敷金 / 保証金 - 借地料 / 借地期間 - / -
傾斜地部分面積 - 路地状敷地 -
取引態様 仲介 国土法届出要否 不要
引渡時期 相談 引渡条件 -
法令上の制限 - 販売区画数 / 総区画数 - / 7区画
設備条件
  • プロパンガス
  • 公営水道
  • 浄化槽排水
条件(その他) 建築許可取得費用  隣接地境界CB折半負担金

地図

※地図上に表示される物件の位置は付近住所に所在することを表すものであり、実際の物件所在地とは異なる場合がございます。

まずはご相談ください!

営業時間
-
定休日
不定休

取り扱い店舗(株式会社吉川不動産)

株式会社吉川不動産の画像

所在地
徳島県徳島市国府町府中541-7 
電話番号
088-676-4652
営業時間
-
定休日
不定休

まずはご相談ください!

営業時間
-
定休日
不定休

売却査定

お問い合わせ